
कवर्धा: अपनी ही जमीन पर कब्जा लेना बना मुसीबत, शासन-प्रशासन मौन फर्जी शिकायतों से डराने की धमकी।
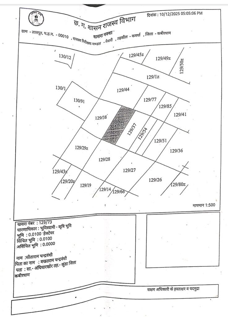
कवर्धा शहर में अपनी ही वैध जमीन पर कब्जा लेना अब जमीन मालिकों के लिए बड़ी मुसीबत बनता जा रहा है। मामला होलीक्रॉस स्कूल के पीछे स्थित भूमि से जुड़ा है, जहाँ पीड़ित सीताराम चंद्रवंशी एवं महेंद्र चंद्रवंशी को वैध दस्तावेज होने के बावजूद लगातार परेशान किया जा रहा है।
पीड़ितों का आरोप है कि नाप-जोख (मापन) के दौरान भी स्थिति स्पष्ट नहीं की जा रही। उनका कहना है कि नाप के दौरान कब्जाधारियों पर पटवारी की विशेष मेहरबानी नजर आई, वहीं सही सीमांकन और वास्तविक स्थिति बताने में पटवारी असमर्थ नजर आए। इससे संदेह और भी गहरा हो गया है। पीड़ितों द्वारा बताया गया कि पटवारी ने एंगल और तार उखाड़ करके दूसरे को ओर कब्जा दिलाने को कहा और पीड़ितों ने इस बात का विरोध करते हुए कहा तो पटवारी का जवाब आया आप तहसीलदार एवं एस डी एम साहब के पास जा सकते हो।
पीड़ितों के पास भूमि स्वामित्व से संबंधित सभी वैधानिक अभिलेख मौजूद हैं, इसके बावजूद अवैध कब्जाधारियों द्वारा न केवल जमीन पर कब्जा बनाए रखने का प्रयास किया जा रहा है, बल्कि फर्जी शिकायतों में फंसाने और झूठे मामलों में उलझाने की धमकियां भी दी जा रही हैं। इससे पीड़ित परिवार भय और मानसिक तनाव में है।
सबसे गंभीर पहलू यह है कि पूरे मामले में अब तक शासन-प्रशासन की भूमिका निष्क्रिय बनी हुई है। बार-बार लिखित एवं मौखिक शिकायतों के बावजूद न तो निष्पक्ष जांच कराई गई और न ही वैधानिक कार्रवाई की गई, जिससे अवैध कब्जाधारियों के हौसले बुलंद हैं।
सीताराम चंद्रवंशी एवं महेंद्र चंद्रवंशी का कहना है कि यदि समय रहते प्रशासन ने निष्पक्ष हस्तक्षेप नहीं किया तो स्थिति और गंभीर हो सकती है। उन्होंने मांग की है कि पूरे मामले की वरिष्ठ अधिकारियों द्वारा पुनः निष्पक्ष सीमांकन कराया जाए तथा दोषी अधिकारियों एवं अवैध कब्जाधारियों पर कड़ी कार्रवाई हो।
इस प्रकरण ने जिले में आम नागरिकों के संपत्ति अधिकारों, राजस्व विभाग की कार्यप्रणाली एवं प्रशासनिक निष्पक्षता पर गंभीर सवाल खड़े कर दिए हैं। स्थानीय नागरिकों और सामाजिक संगठनों ने जिला प्रशासन से मांग की है कि—
पूरे मामले का तत्काल संज्ञान लिया जाए
वरिष्ठ राजस्व अधिकारियों की निगरानी में पुनः सीमांकन कराया जाए
पीड़ितों को वैधानिक रूप से उनकी जमीन पर कब्जा दिलाया जाए
फर्जी शिकायत करने वालों व अवैध कब्जाधारियों पर सख्त कानूनी कार्रवाई की जाए
ताकि आम नागरिकों का कानून और प्रशासन पर भरोसा बना रहे।









